1069 Hudson Road

Offered at: $2,000,000

MLS®: 10370413

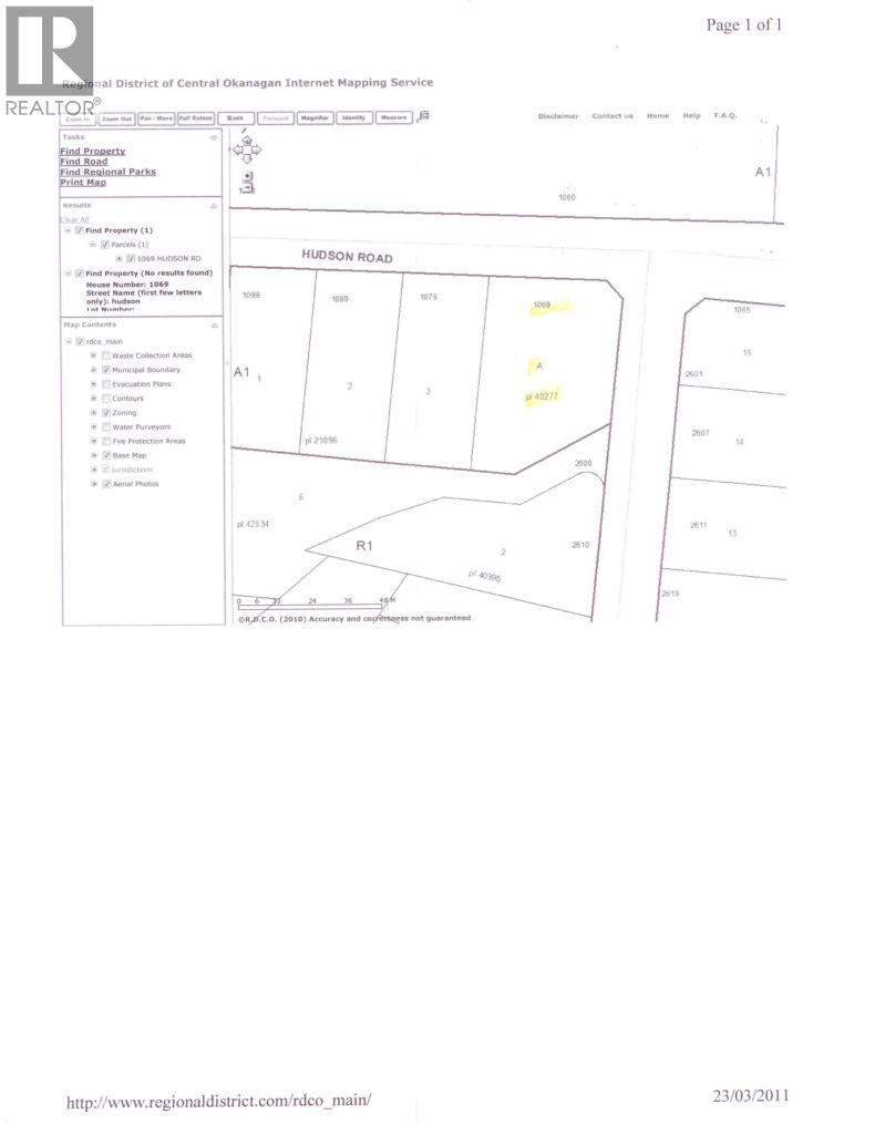
Calling All DEVELOPERS, INVESTORS and BUILDERS — This is a Must See... Prime 0.69-Acre CORNER LOT offering exceptional development potential. Situated at the Corner of Hudson Road and Guidi Road, this Extra-Large Freehold property has been Studied for Future Development, with the City of West Kelowna Supporting the Proposed Subdivision of potential 6–7 Multi-Units. A rare opportunity for Investors, Developers, and Builders. The Existing residence is a solid 3-level split home featuring 4 bedrooms, 3 bathrooms, and two fireplaces. The lower level includes a separate exterior entrance, making it easily suitable for an additional suite. This home provides Strong Holding Value while planning your Development Project. The Property Offers Excellent Frontage, Back Lane Access, and a Spacious Backyard with mature fruit trees, creating both charm and utility. Located in a desirable, family-friendly neighborhood, you are close to schools, transit, shopping, and essential amenities. Whether you’re looking to build Multiple Dwellings or hold a strategic investment property, this location is unbeatable. A rare development-ready opportunity in one of West Kelowna’s most convenient areas. (id:6769)

Quick Stats

Key Home Data

3
BATH(S)
4
BED(S)
2010 Sq Ft
SQFT
YES
SHOWING AVAILABLE
Property Type:
Single Family
Home Ownership:
Freehold

Payment Calculator

Calculate your monthly mortgage payment.

Mortgage Amount
$
Amortization
years
Payment Freq.
Interest Rate
%
Calculating...

All About the Details

See specific details below.

Neighbourhood Statistics

Get to know your neighbourhood.

Similar Properties

Other properties you might like.

Search by Keyword:
« prev 1 2 3 4 next »

Request a Showing

Have questions about this property?

Chat Now

Contact Nicholas T. Parker *PREC
About This Property.


Office: (250) 462-5464