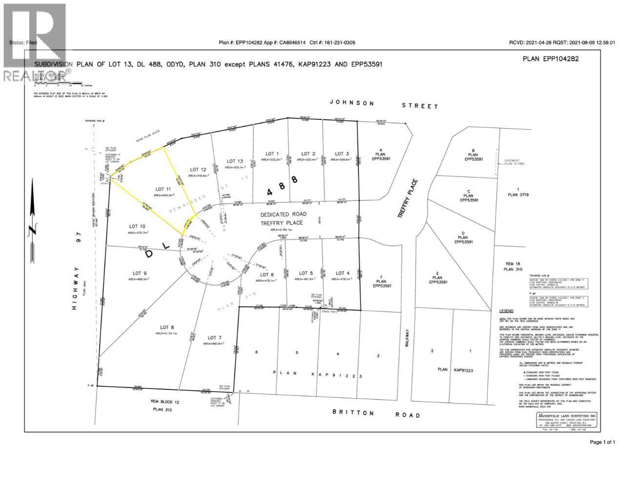
1732 Treffry Place

Offered at: $279,000

MLS®: 10383491

Build your dream home in one of Trout Creek’s most desirable new development areas. This prime lot offers the perfect blend of peaceful community living and everyday convenience. Just a short walk or bike ride brings you to the beach, where you can enjoy sunny Okanagan days by the water, while nearby schools make this an ideal location for families. Situated only minutes from Penticton, you’ll have quick access to shopping, dining, wineries, and all the amenities the South Okanagan has to offer—while still enjoying the quieter pace and charm of Trout Creek. This property is a fantastic opportunity to invest in a thriving area and create a space tailored entirely to your vision. Whether you're looking to build now or hold for the future, this lot delivers location, lifestyle, and potential. (id:6769)

Quick Stats

Key Home Data

0
BATH(S)
BED(S)
Contact for
SQFT
YES
SHOWING AVAILABLE
Property Type:
Vacant Land
Home Ownership:
Freehold

Payment Calculator

Calculate your monthly mortgage payment.

Mortgage Amount
$
Amortization
years
Payment Freq.
Interest Rate
%
Calculating...

All About the Details

See specific details below.

Neighbourhood Statistics

Get to know your neighbourhood.

Similar Properties

Other properties you might like.

Search by Keyword:
« prev 1 2 3 4 5 6 ... 44 45 46 next »

Request a Showing

Have questions about this property?

Chat Now

Contact Nicholas T. Parker *PREC
About This Property.


Office: (250) 462-5464