2640 Boucherie Road

Offered at: $399,900

MLS®: 10372130

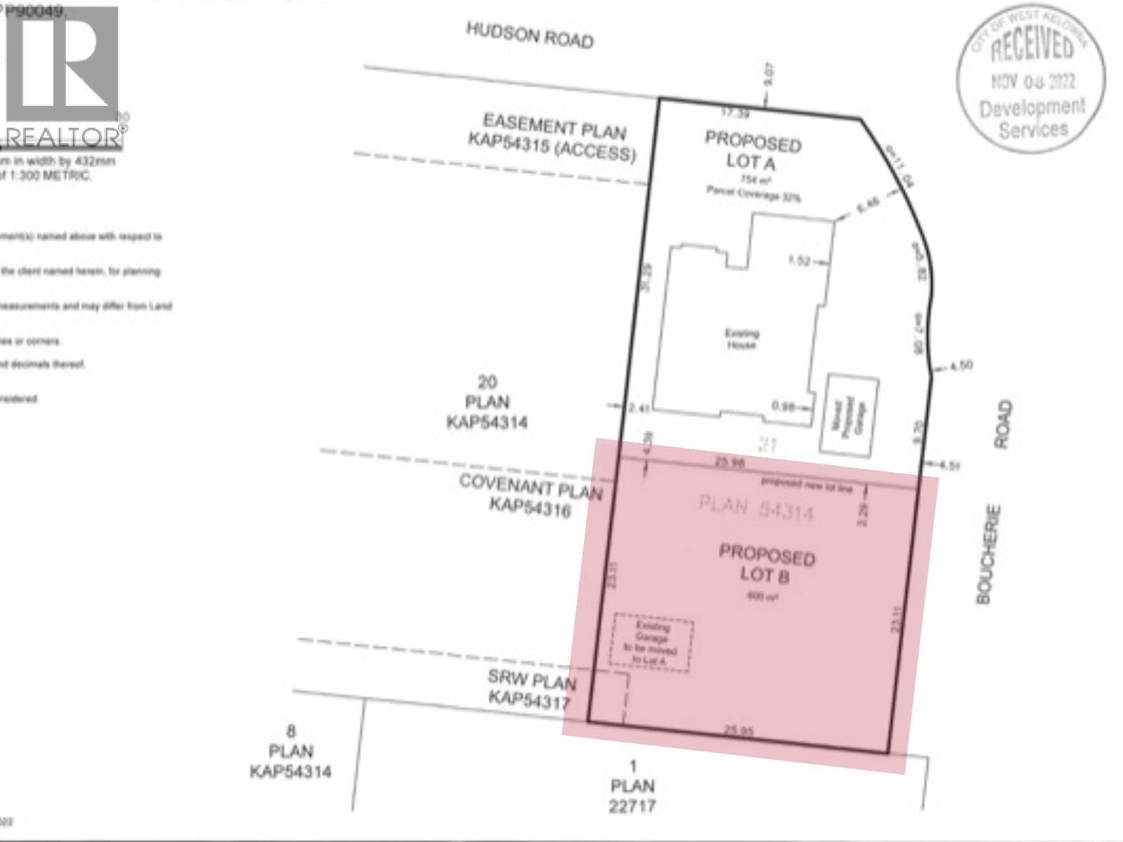
FULLY SERVICED LOT in West Kelowna's Wine Belt, Lakeview Heights. The subdivision awaits final registration. Services connect and deliver capacity for up to 4 units. West Kelowna adopted new BC regulations. R1 zoning now permits duplexes with secondary suites. The lot's wide frontage supports straightforward construction with 50% site coverage and 3-story height allowance.Build a duplex. Construct a single-family home with suites. Design your vision from scratch. Mission Hill Winery sits nearby. Grizzli Winery stands nearly next door. Quails' Gate Winery lies minutes away. Wine trails wind through the neighbourhood. Schools, shopping, and Okanagan beaches complete the location. Downtown Kelowna sits just minutes down the road. No builder restrictions tie your hands. No construction deadlines pressure your timeline. Flexible building guidelines let you create at your own pace. The Lakeview Heights location blends lifestyle appeal with strong future value. This wine corridor address attracts buyers and renters alike. The seller wants this gone. (id:6769)

Quick Stats

Key Home Data

0
BATH(S)
BED(S)
Contact for
SQFT
YES
SHOWING AVAILABLE
Property Type:
Vacant Land
Home Ownership:
Freehold

Payment Calculator

Calculate your monthly mortgage payment.

Mortgage Amount
$
Amortization
years
Payment Freq.
Interest Rate
%
Calculating...

All About the Details

See specific details below.

Neighbourhood Statistics

Get to know your neighbourhood.

Similar Properties

Other properties you might like.

Search by Keyword:
« prev 1 2 3 4 5 6 ... 24 25 26 next »

Request a Showing

Have questions about this property?

Chat Now

Contact Nicholas T. Parker *PREC
About This Property.


Office: (250) 462-5464