164 Tlingit Road

Offered at: $378,347

MLS®: 16538

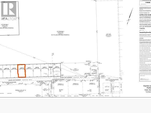
Welcome to Whitehorse's developing business park, Hammerstone! Offering a rare opportunity to build your dream enterprise in Whitehorse's most highly sought-after business district. Located close to downtown, this trending subdivision of Marwell is where you want to be. With building season upon us, NOW is YOUR OPPORTUNITY! CALL TODAY! Hammerstone Business Park Lot Details: - Located on Tlingit Street in the Marwell Industrial Area of downtown Whitehorse - Area 0.185 Ha OR 19,913 sft OR 0.457 Acres - 3- phase power transformers to area - Fiber communication - Lot is balance filled, graded, with full services to lot line - Water service is 2" - Sufficient size for commercial sprinkler systems - Tlingit street is upgraded and paved with sidewalk - Zoning is CIM - Mixed Use Commercial/Industrial (id:6769)

Quick Stats

Key Home Data

0
BATH(S)
BED(S)
Contact for
SQFT
YES
SHOWING AVAILABLE
Property Type:
Vacant Land

Payment Calculator

Calculate your monthly mortgage payment.

Mortgage Amount
$
Amortization
years
Payment Freq.
Interest Rate
%
Calculating...

All About the Details

See specific details below.

Neighbourhood Statistics

Get to know your neighbourhood.

Similar Properties

Other properties you might like.

Search by Keyword:
« prev 1 2 3 4 5 6 ... 116 117 118 next »

Request a Showing

Have questions about this property?

Chat Now

Contact Nicholas T. Parker *PREC
About This Property.


Office: (250) 462-5464